Projekt osazení domu na pozemek vyřídíme za vás

Projekt osazení domu na pozemek vyřídíme za vás

28 dub 2017

Projekt osazení domu na pozemek a další služby můžete získat zdarma od Dům jedním tahem. Stačí si objednat dům ve fázi dům k dokončení.

 

Další novinky z DJT

7. 10. 2025 / Nové virtuální prohlídky domů Nomia a Niké

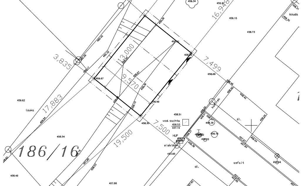
Již máte koupený pozemek, typový projekt vybraný a podle vlastních představ upravený... Je na čase rozhýbat proces stavby domu. Té však ještě předchází řada formalit, jejichž výsledkem je povolení stavby příslušnými úřady. První v řadě zmíněných úkonů je projekt osazení domu na pozemek.  

Co vše osazení domu na pozemek obnáší?!

Při umisťování domu na pozemek je nutné respektovat příslušná územní rozhodnutí. Musí být dodrženy určité vzdálenosti od sousedních domů, jejich plotů apod. Řeší také, v jaké výšce bude umístěna tzv. nula, což je podlaha domu. Dále se v něm řeší napojení domu na inženýrské sítě, komunikace a také zásady organizace výstavby na daném pozemku.

Výsledná dokumentace, která se předkládá stavebnímu úřadu, musí zahrnovat:

  • technickou zprávu
  • zásady organizace výstavby
  • koordinační situaci včetně zakreslení objektu, přípojek na sítě a přístupové komunikace
  • vyznačení požárně nebezpečného prostoru

Vydání výše zmíněných dokumentů obnáší celou řadu úkonů jako zaměření pozemku, jednání s dotčenými správci sítí, komunikací apod., kteří se na základě dodaných podkladů ke stavbě vyjádří.

Zajištění projektu osazení domu

Zajištění potřebných podkladů a vyřízení všech náležitostí může být pro zaměstnaného člověka relativně časově i psychicky náročné. Proto je možné tyto činnosti zadat zprostředkovateli, který na základě plné moci bude místo investora s příslušnými institucemi jednat.

Vyberte si dům od Dům jedním tahem a získáte dotaci na vyřízení stavebního povolení ve výši 20.000 Kč. Zdarma tak získáte projekt osazení domu na pozemek a další služby.

Více informací >>

Galerie

Novinky

07. 10. 2025

Nové virtuální prohlídky domů Nomia a Niké

Máme pro vás skvělou novinku! Rozšířili jsme naši nabídku virtuálních prohlídek v řadě Klasik o dva domy.

Celý článek
12. 09. 2025

Nový katalog DJT je tu! Objednejte si ho na webu nebo vyzvedněte na For Archu

Nový tištěný katalog Dům jedním tahem je tady – přehledný, inspirativní a nabitý praktickými informacemi.

Celý článek
20. 08. 2025

Na For Archu 2025 představíme mimořádné slevy i žhavou novinku!

Od 16. do 20. září 2025 nás navštivte na For Archu ve stánku 2B12 v hale 2. Pro nejrychlejší z vás máme vstupenky ZDARMA. 

Celý článek
07. 05. 2025

Objednejte si katalog rodinných domů zdarma a najděte svůj vysněný domov!

Ještě nemáte tištěný katalog Dům jedním tahem? Objednejte si ho ještě dnes. Zabere to jen minutku!

Celý článek
01. 05. 2025

Využijte jarní slevu na rodinné domy z řady DJT Premium

Chystáte se stavět? Jaro je ten správný čas kdy začít. S jarní nabídkou od Dům jedním tahem totiž ušetříte až 294 600 Kč!

Celý článek
01. 03. 2025

Stavební pozemek: Jak vybrat ten pravý pro váš budoucí dům

 Hledáte ideální stavební pozemek pro váš budoucí dům? Poradíme vám, na co si dát pozor při výběru, jak ověřit územní plán atd.

Celý článek
02. 01. 2025

Rychlá a dostupná stavba chaty z modulů

Až donedávna byla nabídka montovaných domů z keramického betonu od Dům jedním tahem dostupná jen těm, kteří hledali cestu pro stavbu rodinného domu. 

Celý článek
01. 09. 2024

Potkáme se v Praze? Přijeďte za námi na For Arch 2024. Vstupenka ZDARMA!

 Po dobu konání Mezinárodního stavebního veletrhu For Arch 2024 máte jedinečnou příležitost setkat se s naším týmem v Praze.

Celý článek
Více novinek

Zaujal vás Dům jedním tahem?